• By Carlos Fabião
  • Last updated 23 January, 2017

Martinhal (Vila do Bispo, Portugal)

Portugal > Faro District > Vila do Bispo


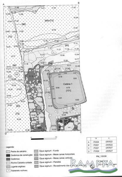
En un extenso complejo conocido desde el siglo XIX por tener una gran cisterna y ser un importante centro alfarero con diez hornos (nueve de ánforas y uno de material de construcción), ubicado en un área de playa con excelentes condiciones de fondeadero, en una intervención de urgencia se excavó un canto de una fábrica de salazones de extensión y planta desconocidas.

Se excavó una pileta tendencialmente cuadrada con las dimensiones de: 1,2x1,4x1,5 y el canto de una segunda que podría  tener dimensiones similares. Por la escasa área sondeada y por no tener habido continuidad de trabajo se desconoce las dimensiones y planta de la fábrica y se desconoce también se estaría aislada o junto con otras unidades.

La capacidad de la pileta excavada se estima en 2,52 m3.
 

Ressources marines

Sin datos.

Chronology

Para el abandono siglo V : TS Clara D Hayes 59, 59B, 67, 91 ; ánforas lusitanas Almagro 50, Almagro 51c, Almagro51a-b / Algarve 1, moneda de Arcádio.

Bibliography

  • Bernardes, J.P.; Morais, R.; Pinto, I. V.; Dias, R. 2013, "A olaria baixo-imperial do Martinhal, Sagres (Portugal)", In: Bernal, D.& Juan, J.L.& Bustamante, M.& Díaz, J.J.& Sáez, A. (eds.). Hornos, talleres y focos de producción alfarera en Hispania, Cádiz. pp. 317-329.
  • Ramos, A. C.; Ferreira, N. M.; Nunes, J.J. 2010, "Martinhal: O centro oleiro que também produziu preparados de peixe", In: Actas do 7º Encontro de Arqueologia do Algarve (Silves, 2009), XELB: revista de arqueologia, arte, etnologia e história, vol. 10, Museu Municipal de Arqueologia de Silves, Silves. pp. 351-371.
  • Santos, M. L. E. V. A. 1971, Arqueologia romana do Algarve. Subsídios. Associação dos Arqueólogos Portugueses, Lisboa.
  • Veiga, S. P. E. da 1910, "Antiguidades monumentaes do Algarve", Antiguidades monumentaes do Algarve. Capitulo V Tempos historicos, vol. 15, pp. 209-233.

Cetaria file citation

Carlos Fabião, «Martinhal (Vila do Bispo, Portugal)»,  RAMPPA, Atlantic-Mediterranean Excellence Network on Ancient Fishing Heritage (http://ramppa.uca.es/cetaria/martinhal), 23 January, 2017.

Download File

3 images in Gallery

Carlos Fabião (Universidade de Lisboa)

67 files created by this author

Antigo Convento de Corpus Christi (Lisboa), Antigua Tienda Mandarim Chinês, Rua Augusta, 137-145; Rua dos Sapateiros, 82-86 (Lisboa), Avenida da Liberdade (Sesimbra), Beco do Bom Sucesso (Cacilhas), Boca do Rio (Zona 3) (Vila do Bispo), Boca do Rio (Zona 4) (Vila do Bispo), Boca do Rio (Zona 8) (Vila do Bispo), Cacela Velha 2 (Vila Real de Santo António), Casa do Governador da Torre de Belém (Santa Maria de Belém), Casa dos Bicos (Lisboa), Cascais (Rua Marques Leal Pancada) (Cascais), Cerro da Vila (Compartimento J 25) (Loulé), Cerro da Vila (Compartimento J 28) (Loulé), Cerro da Vila (Compartimento J 31) (Loulé), Cerro da Vila (Compartimento J 42) (Loulé), Cerro da Vila (Compartimento J 49) (Loulé), Cerro da Vila (Compartimento J 52 A y B) (Loulé), Cerro da Vila (Compartimiento J7) (Loulé), Comenda (São Julião, Nossa Senhora da Anunciada e Santa Maria da Graça), Companhia Nacional de Navegação - R. de S. Julião 36/36A (Lisboa), Creiro (S. Lourenço e S. Simão), Doca de Olhão (Olhão), Edifício Mabor (Portimão), Estação arqueológica da Praia da Luz (Lagos), Estação Arqueológica do Monte Molião I (Lagos), Estação Arqueológica do Monte Molião II (Lagos), Estrumal / Portimões (Portimão), Gaveto da Rua 25 de Abril (BonVivant) (Lagos), Ilha do Pessegueiro - D14 (Porto Covo), Ilha do Pessegueiro – P16 (Porto Covo), Largo Alfredo Dinis (Cacilhas), Largo das Alcaçarilhas (Lisboa), Largo João de Deus (1) (Sines), Largo João de Deus (2) (Sines), Loulé Velho I (Loulé), Loulé Velho II (Loulé), Loulé Velho III (Loulé), Martinhal (Vila do Bispo), Núcleo Arqueológico da Rua dos Correeiros (Lisboa), Porto Brandão (Caparica), Praça de Bocage (Setúbal), Praia de Aveiros (Albufeira), Praia de Santa Eulália (Albufeira), Praia do Vau (Portimão), Quinta de Marim 1 (Olhão), Quinta de Torre de Ares (Tavira), Quinta do Lago (Loulé), Quinta do Muro (Vila Real de Santo António), Rasca (São Julião, Nossa Senhora da Anunciada e Santa Maria da Graça), Rua 25 de Abril, nº 44 (Lagos), Rua 25 de Abril, nº 57-71 (Lagos), Rua Augusta (Lisboa), Rua Carvalho Freirinha (Cacilhas), Rua da Madalena 54 / 60 (Lisboa), Rua da Prata 88 / 114 (Lisboa), Rua do Castelo dos Governadores / Hospital Militar (Lagos), Rua dos Bacalhoeiros 32 / Rua da Padaria nº 1-9 (Lisboa), Rua dos Correeiros – Sond. 34 (Lisboa), Rua dos Douradores (Sond. 1) (Lisboa), Rua dos Fanqueiros 51-57 (Lisboa), Rua dos Fanqueiros 68-76 (Lisboa), Rua Ramos da Costa (Fábrica A) (Sines), Rua Ramos da Costa (Fábrica B) (Sines), Rua Ramos da Costa (Fábrica C) (Sines), Rua Ramos da Costa (Fábrica D) (Sines), Rua Silva Lopes, nº 4-8 (Lagos), Travessa Frei Gaspar, nº 10 (Setúbal)

Chronology

No dating

Geographic location

Roman province: Lusitania